Super-Taifun Sinlaku bedroht Pazifik: Guam beschädigt, Touristen auf Saipan und Tinian festsitzend
Super-Taifun Sinlaku bedroht Pazifikinseln, Touristen festsitzend

Super-Taifun Sinlaku wütet im Pazifik: Urlaubsparadiese in Gefahr

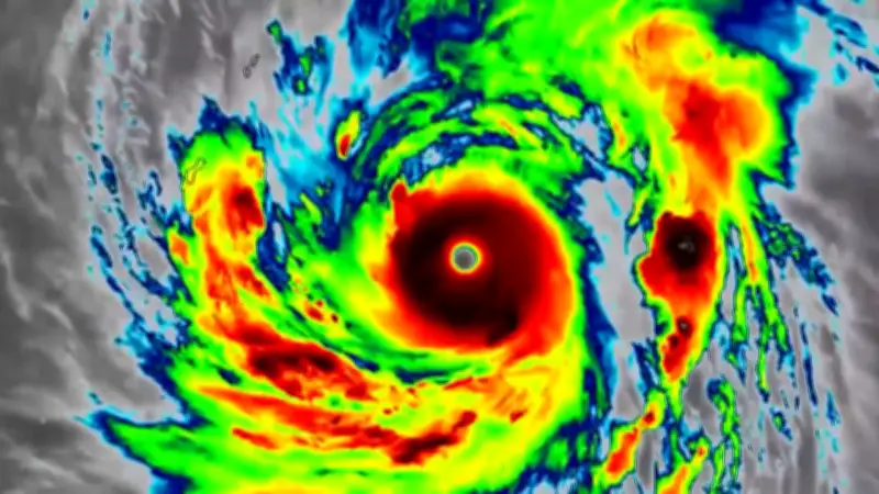
Der Pazifik wird derzeit von einem der stärksten Stürme der Welt heimgesucht. Der Super-Taifun mit dem Namen Sinlaku hat bereits die Insel Guam getroffen und dort erhebliche Schäden verursacht. Nun rast der gewaltige Wirbelsturm weiter auf die beliebten Urlaubsinseln Saipan und Tinian zu, wo etwa 400 Touristen aktuell festsitzen und auf Evakuierungen oder Entwarnung warten.

Guam bereits betroffen, weitere Inseln in akuter Bedrohung

Nachdem Sinlaku über Guam hinweggefegt ist, melden Behörden und Augenzeugen erhebliche Zerstörungen an Infrastruktur und Gebäuden. Die genauen Ausmaße der Schäden sind noch nicht vollständig erfasst, doch es wird von umgestürzten Bäumen, überfluteten Straßen und Stromausfällen berichtet. Die Lage auf der Insel bleibt angespannt, während Rettungskräfte versuchen, die Schäden zu begrenzen und Verletzte zu versorgen.

Touristen auf Saipan und Tinian in kritischer Situation

Auf den Inseln Saipan und Tinian, die als nächstes im Visier des Taifuns liegen, harren etwa 400 Touristen aus. Viele von ihnen sind in Hotels oder Notunterkünften untergebracht, während Flüge gestrichen und Fährverbindungen unterbrochen wurden. Die lokalen Behörden haben Notfallpläne aktiviert und warnen die Bevölkerung sowie Besucher davor, das Haus zu verlassen. Es wird befürchtet, dass Sinlaku mit Windgeschwindigkeiten von über 200 Kilometern pro Stunde noch verheerendere Auswirkungen haben könnte als auf Guam.

Breites Pickt-Banner — kollaborative Einkaufslisten-App für Telegram

Klimawandel und zunehmende Sturmaktivität im Pazifik

Experten weisen darauf hin, dass solche extremen Wetterphänomene im Pazifikraum in den letzten Jahren häufiger und intensiver geworden sind. Der Klimawandel wird als einer der Hauptfaktoren für die Entstehung von Super-Taifunen wie Sinlaku angesehen. Die Region, die für ihre idyllischen Strände und tropischen Paradiese bekannt ist, muss sich zunehmend auf solche Naturkatastrophen einstellen und entsprechende Schutzmaßnahmen entwickeln.

Die internationale Gemeinschaft beobachtet die Entwicklung mit Sorge und bietet humanitäre Hilfe an. Es wird erwartet, dass in den kommenden Tagen weitere Details zu den Schäden und zur Lage der festsitzenden Touristen bekannt werden. Betroffene und Angehörige werden aufgefordert, sich über offizielle Kanäle zu informieren und Ruhe zu bewahren.

Pickt After-Article-Banner — kollaborative Einkaufslisten-App mit Familien-Illustration